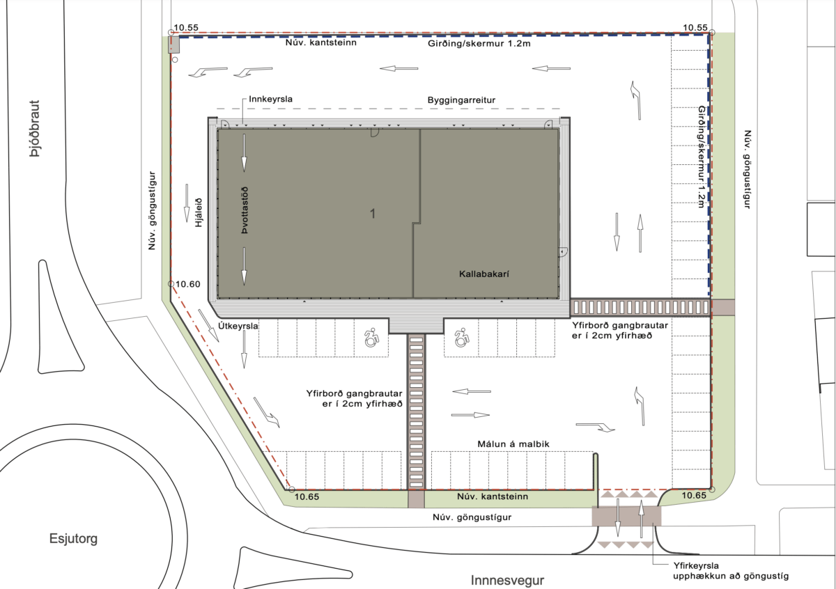
Lóðarhafar Innnesvegar 1, óska eftir að gerð verði breyting á deiliskipulagi Flatahverfis, klasa 5 og 6, til þess að koma megi fyrir bílaþvottastöð í núverandi húsnæði. Í húsinu er einnig bakarí.
Akraneskaupstaður hefur auglýst tillögu að breytingu á Aðalskipulagi Akraness.

Breytingin afmarkast af lóðarmörkum Innnesvegi 1. Breyting á deiliskipulagi Flatahverfis klasa 5 og 6, vegna Innnesvegar 1, felst í að breyta notkun á lóð. Heimilt verður að reka bílaþvottastöð með opnunartíma kl. 06-24.
Breytingartillagan er til kynningar á heimasíðu Akraneskaupstaðar og á Skipulagsgátt Skipulagsgáttin (skipulagsgatt.is) frá 5. febrúar til 25. mars 2025.
Þeim sem telja sig eiga hagsmuna að gæta er hér með gefinn kostur á að gera athugasemdir við breytingartillöguna til og með 25. mars 2025. Skila skal skriflegum athugasemdum á skipulagsgátt Skipulagsgáttin (skipulagsgatt.is)
Í breytingunni er gert ráð fyrir bílaþvottastöð með opnunartíma kl 06-24 í núverandi húsnæði – en bílaumboðið Askja er með starfsstöð í þessu rými í dag.
Í skipulagsuppdrætti kemur fram að áhrif á fráveitukerfi séu ekki talin vera veruleg þar sem krafa er um sand- og olíuskilju með vöktunarbúnaði til að meðhöndla olíumengað vatn til samræmis við reglugerð.
Unnin var hljóðvistarskýrsla þar sem fram kemur að hurðir þurfa að vera lokaðar á bílaþvottastöðinni á meðan á þvotti og þurrkun stendur til að unnt sé að uppfylla viðmið reglugerðar gagnvart umhverfinu. Gerð er krafa í deiliskipulagsbreytingunni að hurðir skuli vera lokaðar við hávaðasama starfsemi. Einnig voru skoðuð möguleg áhrif vegna umferðar og sýndu útreikningar að hljóðstig vegna umferðar bifreiða tengdri starfseminni verður innan allra viðmiðunargilda staðla og reglugerða. Því er ekki talið að áhrifin á hljóðvist séu veruleg.
Unnið var minnisblað um mögulega ljósmengun í tengslum við umferð um lóðina. Gerð er krafa í deiliskipulagsbreytingunni um skerm/girðingu til þess að koma í veg fyrir ljósmengun og því ekki talið að ljósmengun verði veruleg.
Bílaþvottastöðin er sjálfsafgreiðslustöð en ekki verður heimilt að nýta hana á nóttunni, þ.e. milli kl 24-06. Þar sem tekið er tillit til mögulegra áhrifa af hávaða og ljósmengun er ekki talið að opnun hafi neikvæð umhverfisáhrif.
Breyting á aðalskipulagi sjá hér
Skipulagsuppdráttur sjá hér
Skýringaruppdráttursjá hér























